Kahe Point Beach Park, Oahu
Blog Post - Nov 7, 2024
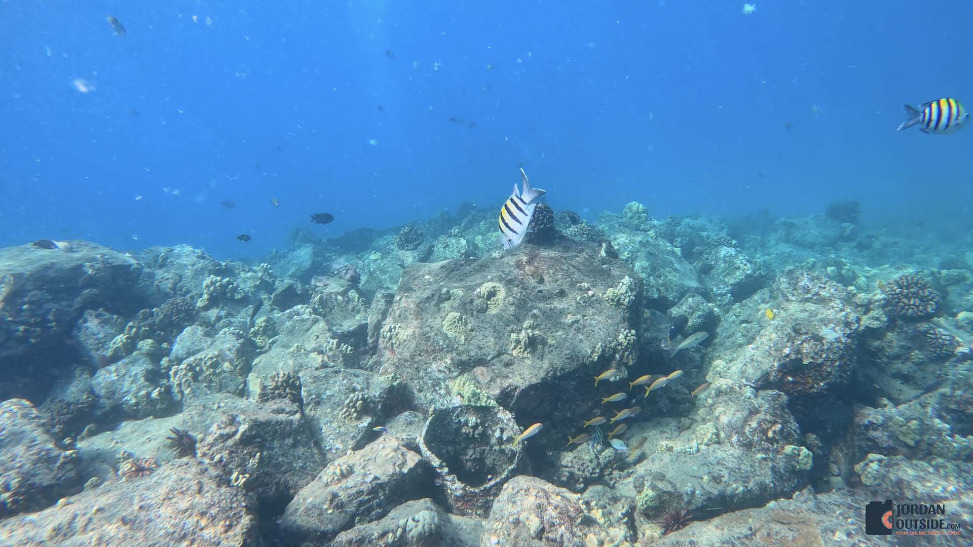
Kahe Point Beach Park is a small beach with a vibrant coral reef that is great for snorkeling.
There is an electric power plant that has 2 long pipes that pour out warm water attracting a lot of fish and turtles. Some people call this Electric Beach, but Electric Beach is actually the next beach north.
This is located on the southwest side of Oahu.

There is a large free public parking lot. We parked and I wanted to explore a little before going snorkeling. I left my snorkeling gear in our Jeep for about 10 minutes and when I came back our Jeep had been broken into and my snorkeling gear was stolen. Luckily my wife had taken hers with her and I was able to borrow hers. Don't leave anything in your car here or it might get stolen.


We walked over to the beach. On the way you'll see a pavilion area, public bathrooms, and now they have lifeguards on duty here.





You can see that this is a small beach, but it is surrounded by a vibrant coral reef.

This map shows where the giant cooling pipes from the electric power plant come out. These pipes push out really warm water, which attracts a lot of fish and turtles. It took me about 20 to 25 minutes to snorkel out to the pipes. You should only do this if you are a really good swimmer.

The nice part about this beach is that if you don't want to do that long swim, you can snorkel right off the shore and see a lot of fish.



I got in the water and started snorkeling out to the cooling pipes. My wife stayed on the beach with my backpack just to make sure that didn't get stolen too.







This is what the giant cooling pipes look like from overhead.





The pipes are about 20 feet deep. I swam in front of one of them and the force of the water pushed me back quite a ways. The water was really warm and felt great.




After snorkeling there, I started heading back. I saw lots of fish, scuba divers, and overall had a great time.



Overall, we had a great time here. Even though my snorkeling gear got stolen, I would come back and snorkel here again. It was cool to see the large cooling pipes, but I enjoyed snorkeling the reef area closer to the beach area.
MAPS:
PRICING:
Kahe Point Beach Park isΒ free to go to and the parking lot is free too.
Total Cost: $0
CHECKLIST:
These are the checklist items I recommend:
- Bring your own towels, beach chairs, and beach umbrellas.
- Bring some drinks and snacks.
- Bring reef safe sunscreen.
- Bring your own snorkeling gear.
- Don't leave anything in your car.