FREE GUIDE ON TRAVEL BLOGGING

Poseidon's Point, Long Island, Bahamas

 
BLOG POST
MAPS
PRICING
CHECKLIST

Destinations > Long Island

Blog Post - November 9, 2025

Poseidon's Point is one of the best snorkeling spots on all of Long Island in the Bahamas.

It's located up on the northeast side of Long Island.

Poseidon's Point, Long Island, Bahamas

There is a paved road to get there. It is bumpy, but it is paved. Where the paved road ends and veers into a dirt road is where you can park your car.

Poseidon's Point, Long Island, Bahamas
Poseidon's Point, Long Island, Bahamas

Poseidon's Point has a rocky shoreline. There is a trail from the parking area to get down to the rocky area.

Poseidon's Point, Long Island, Bahamas
Poseidon's Point, Long Island, Bahamas
Poseidon's Point, Long Island, Bahamas
Poseidon's Point, Long Island, Bahamas

We were planning on walking down from the trail and getting in right there, but the water was a little too rough there on the day that we went. 

We walked to the right first, but you can' go that far. Then we explored to the left and found the 2nd inlet to have a flat stone that is great to get in and out of the water on a calm day.

Poseidon's Point, Long Island, Bahamas
Poseidon's Point, Long Island, Bahamas
Poseidon's Point, Long Island, Bahamas
Poseidon's Point, Long Island, Bahamas

You can see that there is a shelf that you can sit down and get in and get out of the water.

Poseidon's Point, Long Island, Bahamas
Poseidon's Point, Long Island, Bahamas
Poseidon's Point, Long Island, Bahamas
Poseidon's Point, Long Island, Bahamas

After we were both in the water, we started snorkeling over to the large reef.

Poseidon's Point, Long Island, Bahamas
Poseidon's Point, Long Island, Bahamas

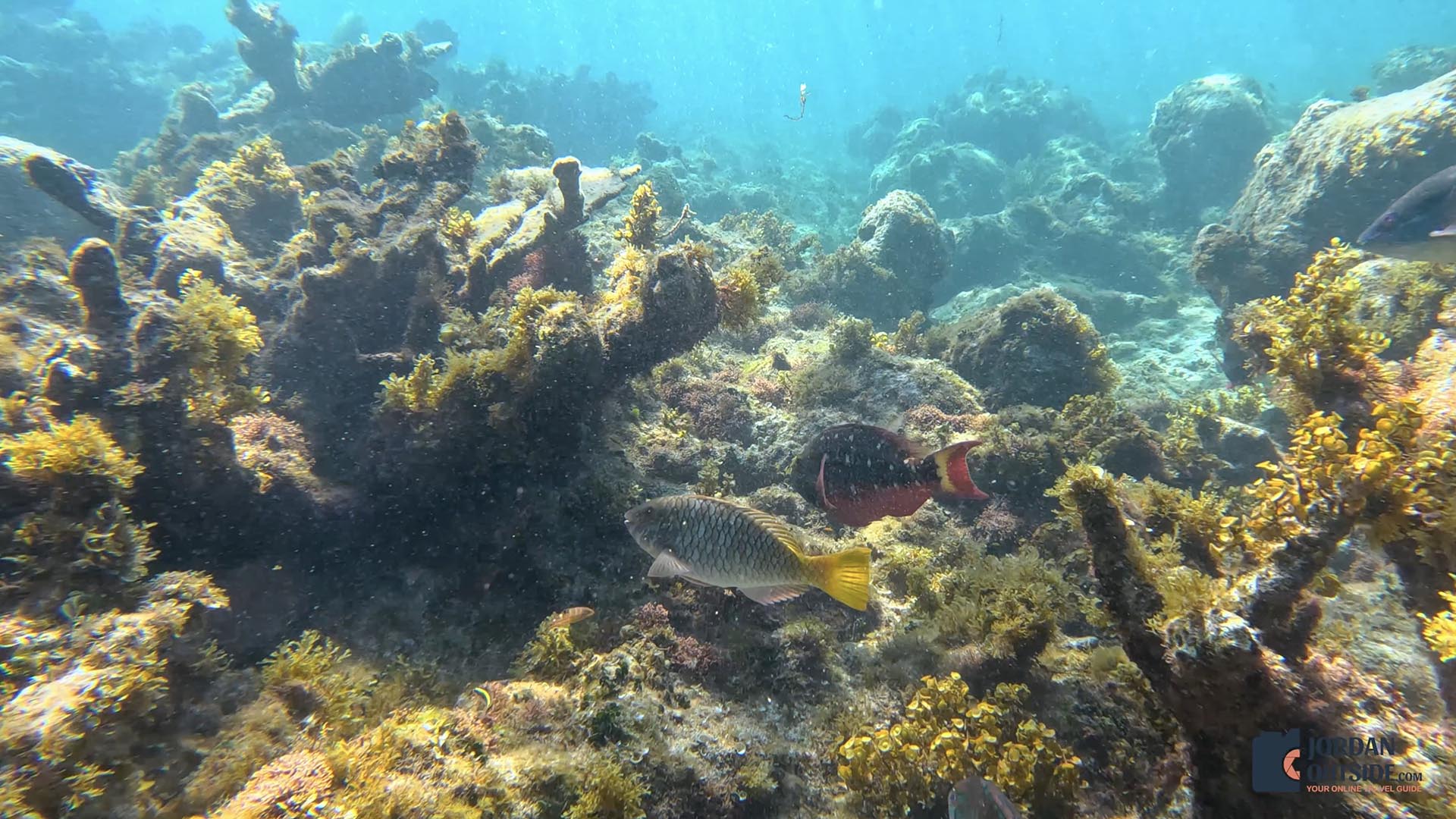
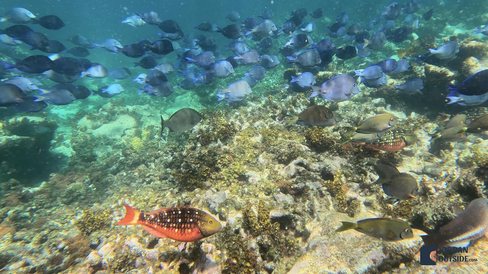
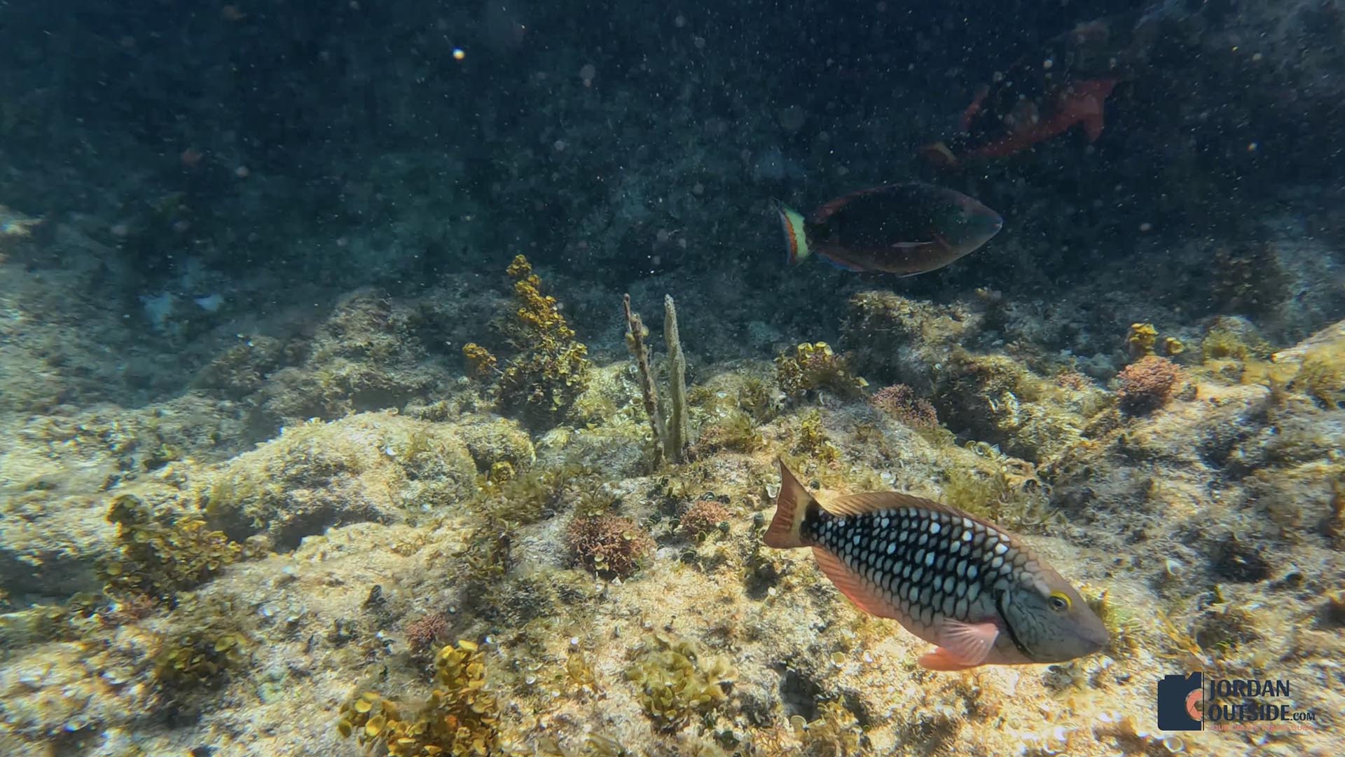
This is what snorkeling at Poseidon's Point looks like.

Poseidon's Point, Long Island, Bahamas
Poseidon's Point, Long Island, Bahamas
Poseidon's Point, Long Island, Bahamas
Poseidon's Point, Long Island, Bahamas
Poseidon's Point, Long Island, Bahamas
Poseidon's Point, Long Island, Bahamas
Poseidon's Point, Long Island, Bahamas
Poseidon's Point, Long Island, Bahamas
Poseidon's Point, Long Island, Bahamas
Poseidon's Point, Long Island, Bahamas

After snorkeling, we got out and got back into our Jeep. We then decided to explore the dirt road that goes to the other entrance of Poseidon's Point.

Poseidon's Point, Long Island, Bahamas
Poseidon's Point, Long Island, Bahamas
Poseidon's Point, Long Island, Bahamas
Poseidon's Point, Long Island, Bahamas
Poseidon's Point, Long Island, Bahamas

The dirt road ends at a rocky area. We got out and explored this part of Poseidon's Point. One of the things we noticed is that the coral reefs are a lot farther off shore from this location. This was still a great area to explore, but we recommend the first entrance for the best snorkeling.

Poseidon's Point, Long Island, Bahamas
Poseidon's Point, Long Island, Bahamas
Poseidon's Point, Long Island, Bahamas
Poseidon's Point, Long Island, Bahamas

Overall, we had a great time snorkeling at Poseidon's Point. It's definitely one of the best spots for snorkeling on Long Island in the Bahamas. We'd highly recommend going here on your next trip to Long Island.

MAPS:

Poseidon's Point Map:

(Click on the map above to go to a Google Maps larger view.)

PRICING:

Poseidon's Point is free to visit.

Price: $0.00

CHECKLIST:

These are the checklist items I recommend:

  • There are no bathrooms, so plan accordingly.
  • Bring some food and water.
  • Bring a hat.
  • Bring sunglasses.
  • Bring reef safe sunscreen.
  • Bring water shoes or booties to walk on the rocks.
  • Bring your own snorkeling gear
BACK TO LONG ISLAND >>